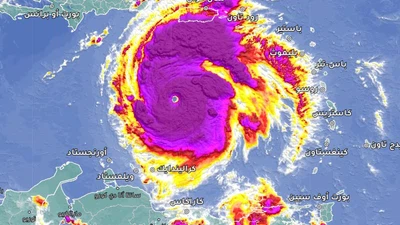
صراحة نيوز _رصدت الإقمار الإصطناعية في مركز طقس العرب صور عين الإعصار بيريل التي قد تبدو صغيرةً بعض الشيء من خلال صور الأقمار لكن من خلال أنظمة القياس عن بُعد فإن مساحة عين الإعصار تصل لمساحة ضخمة جداً مايعني ان مساحتها أكبر من مساحة 4 دول عربية.
وتصل مساحة عين الإعصار وامتدادها الجغرافي حوالي 31 الف كيلومتراً مربعاً و300 متر، مايعني أن مساحتها قد تجاوزت مساحة قطر والبحرين والكويت ولبنان.

